Burgemeester Houbenplein 4, 5575 EZ Luyksgestel
Vraagprijs: € 419.000 k.k.

Brochure

Omschrijving

Nagenoeg nieuwe, netjes afgewerkte tussenwoning op 112 m² met berging, overkapping en een vrije achterom.

Nagenoeg nieuwe, netjes afgewerkte tussenwoning op 112 m² met berging, overkapping en een vrije achterom aan het Burg. Houbenplein 4 te Luyksgestel.
Deze woning is instapklaar en gelegen in een jonge buurt met voldoende parkeergelegenheid, nabij het centrum en de basisschool van de gemeente Luyksgestel.

Begane grond:
Hal/entree met trapopgang naar de 1e verdieping, meterkast (10 groepen en 2 aardlekschakelaars), toilet met fonteintje en toegang tot de woonkamer/keuken.
De woonkamer is uitgevoerd met een schuifpui en heeft voldoende natuurlijk lichtinval. Naast de schuifpui heeft de woonkamer een deur naar de achtertuin. In de woonkamer bevindt zich een trapkast/provisiekast met hierin de vloerverwarmingsunit.
Aansluitend aan de woonkamer komt u in de open keuken met inductiekookplaat, afzuigkap, vaatwasser, grote koelkast, spoelbak, oven, magnetron en voldoende kastruimte.

1e verdieping:
Teruggekeerd in de hal gaat u met een vaste trap naar de 1e verdieping. Aan de overloop liggen drie slaapkamers en een badkamer, alsmede een vaste trap naar de 2e verdieping. De slaapkamers hebben allen natuurlijk lichtinval en natuurlijke ventilatie. De badkamer is voorzien van een inloopdouche met thermostaatkraan, toilet en vaste wastafel met spiegelverwarming. De badkamer heeft, naast natuurlijke ventilatie, ook mechanische ventilatie.

2e verdieping:
Middels een vaste trap op de overloop komt u op de 2e verdieping. Op de 2e verdieping is een technische ruimte gerealiseerd met de omvormer van de zonnepanelen, de cv-installatie (ATAG E325EC, 2018), de WTW-installatie, alsmede de aansluitingen voor wasmachine en eventueel droger. Verder is op de 2e verdieping een vierde slaapkamer gerealiseerd met twee dakramen aan de achterzijde voor natuurlijk lichtinval en ventilatie. De zolderruimte heeft kastruimte onder de kapschuinte.

Buitengebeuren:
Achter de woning is een aluminium overkapping geplaatst over de gehele breedte van de woning, met een schuifpui naar de achtertuin en een lichtstraat.
De achtertuin is volledig omheind, met een tuinhuisje/berging en een afsluitbare poort.
De achtertuin is volledig verhard met grote tegels en uitgerust met een draineergoot in verband met de afwatering. In de achtertuin bevindt zich verder een containeropslagkast. De voortuin bestaat uit sierbestrating en kiezels.

Algemeen:

Bouwjaar 2019.

Gelegen op korte afstand van het centrum, de basisschool en winkels.

Volledig geïsoleerd (spouw-, dak- en vloerisolatie).

Geheel voorzien van aluminium kozijnen en deuren.

HR++-beglazing.

Vloerverwarming op de volledige begane grond.

Vier zonnepanelen met omvormer.

Airco-unit op de overloop/trappengat naar de 2e verdieping, gesitueerd voor zowel de koeling als verwarming van de 1e verdieping en de zolderruimte.

Energielabel A.

Buitenkraantje aan de achterzijde van de woning, ingebouwd bij de semi-buitenkeuken met warmwaterboiler.

Glasvezel aanwezig.

Noordoostelijk gelegen achtertuin.


Kenmerken

Algemeen

Adres:Luyksgestel
Vraagprijs:Verkocht | onder voorbehoud
Type:Eengezinswoning
Beschikbaar vanaf:In overleg
Ligging:In centrum, Aan rustige weg, Gemeente
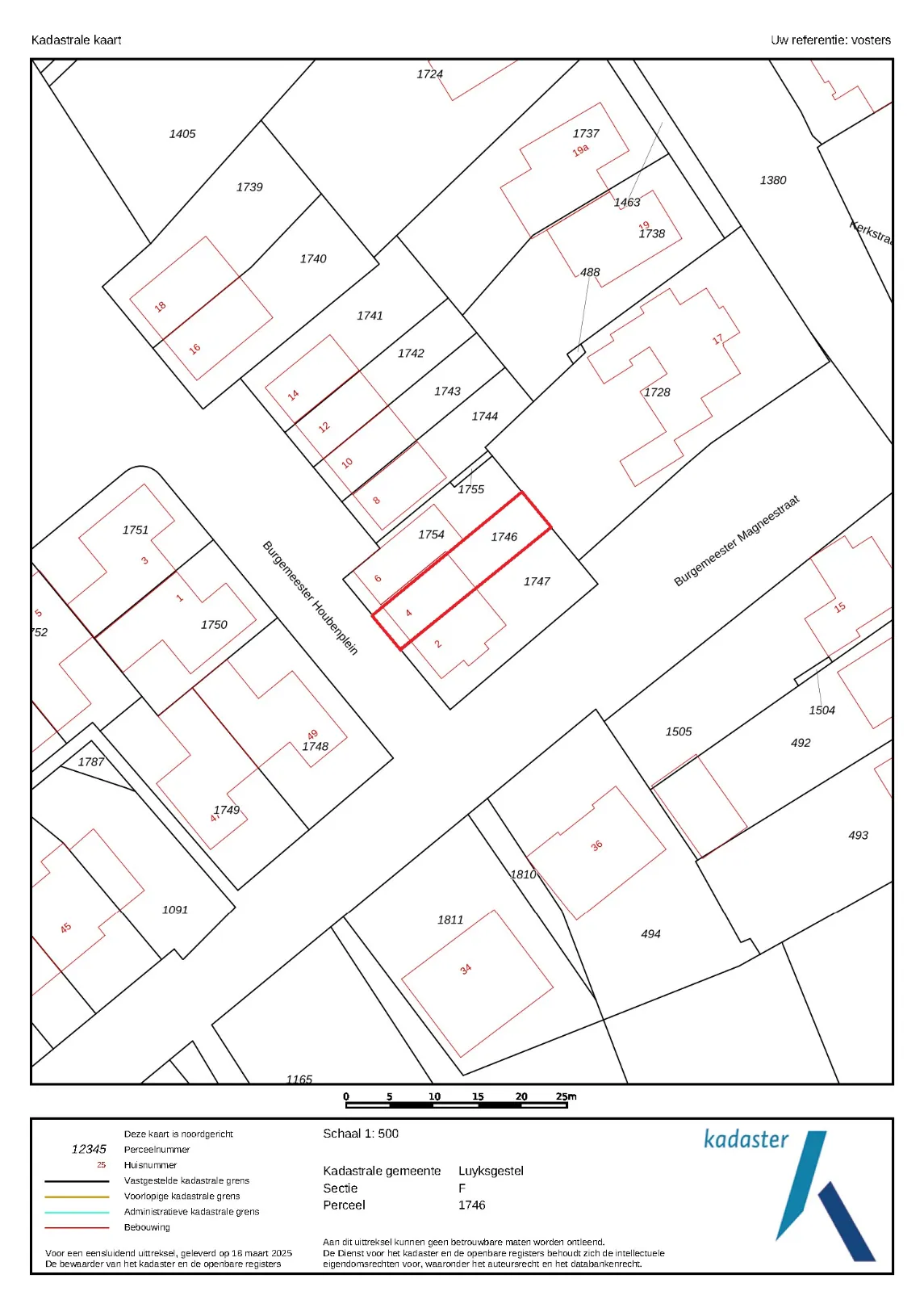
Perceeloppervlakte:112 m²
Perceelbreedte:4,8 m
Perceeldiepte:22 m
Bebouwde opp.:60 m²
Totale woonoppervlakte:119 m²
Type constructie:Traditioneel
Bouwjaar:2019
Inhoud:360 m³
Gevelbreedte:4,8 m
Bouwlagen:3
Externe Bergruimte :6 m²
Algemene staat:Normaal

Indeling

Kamers:5
Slaapkamers:4
Badkamers:1
WC:2
Woonkamer:, Doorzonkamer
Keuken:, Open keuken, Ingericht met inbouwapparatuur
Tuin:52 m²
Tuin breedte:4,8 m
Tuin diepte:11 m
Tuin oriëntatie:Noord-Oost
Tuin kwaliteit:Verzorgd

Comfort

Bushalte:Ja - op minder dan 500 m
School:Ja - op minder dan 500 m
Kinderopvang:Ja - op minder dan 500 m
Ontspanning:Ja - op minder dan 500 m
Raamwerk:Aluminium
Dak:Zadeldak
Beglazing:Hoogrendementsglas
Verwarming:CV-ketel
Verwarming bouwjaar:2018
Verwarmd water:Combiketel
Isolatie:Volledig geïsoleerd
Airco:Ja
Internet:Ja
Mech. ventilatie :Ja
Kabel:Ja
Zonnepanelen:Ja

Kadastrale gegevens

Kad. gemeente:Luyksgestel
Oppervlakte:112 m²

Informatieplicht

Energielabel:A
Geldig tot:14-10-2028

Ligging

Neem vrijblijvend contact op

Wenst u meer informatie of het pand te bezoeken? Contacteer ons vrijblijvend voor meer informatie. 
Wanneer wij uw aanvraag hebben ontvangen zullen wij verder contact met u opnemen. 


U moet akkoord gaan met het privacybeleid van deze website
* Verplicht in te vullen
Voor meer informatie kunt u mailen naar Vosters Onroerend Goed BV, info@vostersonroerendgoed.nl, of bellen met Jan Willems, 0653146364 . Aan onvolkomenheden in tekst en inhoud kunnen geen rechten worden ontleend. Alle aanbiedingen zijn vrijblijvend.
 
Niet gevonden wat u zocht? Schrijf u dan vrijblijvend in om op de hoogte te blijven van ons recentste aanbod.
Schrijf u in
U gebruikt een verouderde browser. Upgrade nu naar een moderne browser om ten volle gebruik te kunnen maken van alle functies van onze site:
Chrome |  FireFox |  Opera |  Safari |  Microsoft Edge
Terug naar boven
Sluit menu Vosters Onroerend Goed BV
Wat is mijn huis waard?
Ontvang binnen twee werkdagen een gratis waardebepaling!