Heesterik 4, 5541 BS Reusel
Vraagprijs: € 899.000 k.k.

Brochure

Omschrijving

Unieke, onder architectuur gebouwde villawoning met luxe afwerking en prachtig uitzicht op het buitengebied.

Op een schitterende locatie aan de rand van Reusel, op een ruim perceel van maar liefst 732 m², staat deze exclusieve villawoning uit 2012. Een woning die direct indruk maakt door de combinatie van moderne luxe, hoogwaardige materialen én de warme uitstraling van o.a. een rieten kap, natuursteen en fraaie details in staal, zink en metselwerk. De woning is niet alleen stijlvol, maar ook toekomstgericht gebouwd. Zo is de villa volledig gasvrij, voorzien van vloerverwarming op alle verdiepingen (per kamer regelbaar), een alarmsysteem en een centraal stofzuigsysteem. Comfort en gemak staan hier duidelijk centraal. Binnen geniet u van veel ruimte en licht, terwijl de inpandig bereikbare garage zich perfect leent voor meerdere doeleinden – van hobbyruimte tot werkplek of extra opslag. De ligging is minstens zo bijzonder: aan de voorzijde een rustig, doodlopend woonerf en aan de achterzijde een fraai uitzicht over het uitgestrekte buitengebied. Hier woont u landelijk, maar toch met alle voorzieningen dichtbij.

Kortom: een unieke kans om te wonen in een luxe, duurzame villa op een prachtige locatie!

Kenmerken:
• Woonoppervlakte 176 m2
• Gebruiksoppervlakte totaal (incl. zolder en bijgebouwen) 292 m2
• Inhoud 820 m3
• Bouwjaar 2012
• Ligging: gelegen in een groene woonomgeving in een doodlopende straat aan de rand van het dorp
• Aanvaarding: in overleg
• Bijgebouwen/voorzieningen:
o Garage met verdieping
o Carport
o Veel parkeermogelijkheden op eigen terrein
o Overkapping
• Duurzaam:
o Volledig geïsoleerd
o Geheel voorzien van HR++ beglazing in hardhouten kozijnen
o Verwarming en warm water middels Nibe warmtepomp
o Geheel voorzien van vloerverwarming, per ruimte regelbaar
o Energielabel A!

Indeling
Begane grond
Entree in een ruime hal met eikenhouten trap naar de eerste verdieping en kelder, een uitgebreide meterkast en toegang tot de woonkamer. De gehele begane grond is afgewerkt met stucwerk, een natuurstenen (basalt) vloer en Belgisch hardstenen vensterbanken.

De woonkamer is ruim en speels ingedeeld door de verspringende hoeken. Een gedeelte is ingericht als kantoorruimte c.q. studeerkamer. Dankzij de vele raampartijen is er rondom zicht op de voor- en achtertuin. Voor extra sfeer en warmte is er een houtkachel aanwezig. De woonkamer staat in open verbinding met de keuken, maar kan desgewenst worden afgesloten met schuifdeuren.

De woonkeuken is royaal en biedt voldoende ruimte voor een grote eettafel. Via de tuindeuren is direct toegang tot de achtertuin. De keuken is uitgevoerd in U-opstelling met hardhouten frontjes en een Belgisch natuurstenen werkblad. De inbouwapparatuur bestaat uit een 4-pits inductiekookplaat met warmhoudplaat, afzuigkap, oven en vaatwasser (voornamelijk Siemens).

Aansluitend bevindt zich een portaal met toegang tot de inrit, de achtertuin, het toilet, de bijkeuken en de garage. Het toilet is voorzien van hangcloset, fonteintje, stucwerk en hoogwaardig tegelwerk. De bijkeuken beschikt over een pantry met spoelbak en aansluitingen voor wasmachine en droger. Tevens kan hier een douche/badkamer gerealiseerd worden, aansluitingen zijn daarvoor reeds aanwezig.

De garage is ruim, degelijk gebouwd en eveneens voorzien van vloerverwarming. Openslaande deuren bieden toegang tot de oprit, een loopdeur leidt naar de achtertuin. De garage is voorzien van een tegelvloer, de grondwaterpomp met zoneverdeling en een vaste trap naar de verdieping erboven met betonnen vloer en veel bergruimte.

Eerste verdieping
De lichte overloop geeft toegang tot twee slaapkamers, de badkamer en het toilet.
De ouderslaapkamer is ruim, voorzien van een dakkapel, een grote vaste inbouwkast en heeft uitzicht over de groenstrook en het achterliggende buitengebied. De tweede slaapkamer beschikt over een luxe Velux-dakraam en een vaste trap naar de tweede verdieping. Het separate toilet is uitgevoerd in dezelfde stijl als het toilet op de begane grond. De badkamer is royaal en uitgerust met een grote inloopdouche, ligbad en een breed wastafelmeubel met dubbele wastafel.

Tweede verdieping
Ruime zolderverdieping met veel bergruimte, vaste schuifkasten, karakteristieke ronde ramen, wastafel, vinyl vloer, vloerverwarming en de opstelling van de mechanische ventilatie.

Kelder
De hoge kelder biedt volop provisieruimte en is tevens de technische ruimte van de woning. Achter een schuifwand zijn de centrale stofzuiger en de bodemwarmtepomp (Nibe) geplaatst.

Buitenruimte
Direct achter de woning bevindt zich een overkapping met lichtstraat, waar u in alle privacy kunt zitten met uitzicht over de tuin. De achtertuin is op het zuiden gelegen en ingericht met gras, bomen, planten en struiken. Dankzij een robotmaaier en automatische beregening wordt het onderhoud eenvoudig. De woning is rondom vrij gelegen en beschikt over een fraai aangelegde voortuin en een brede poort. Middels deze poort kunt u makkelijk met de auto, caravan e/o aanhanger etc. de tuin bereiken. Op eigen terrein is ruime parkeergelegenheid aanwezig.


Kenmerken

Algemeen

Adres:Reusel
Vraagprijs:€ 899.000 k.k.
Type:Villa
Beschikbaar vanaf:In overleg
Ligging:In woonwijk, Aan rustige weg
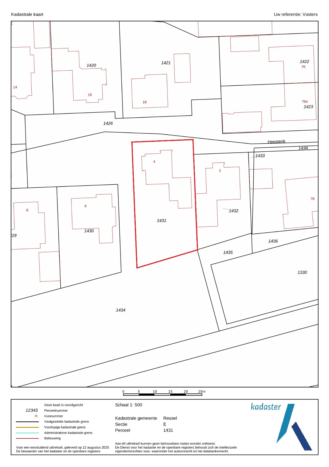
Perceeloppervlakte:732 m²
Perceelbreedte:19,5 m
Perceeldiepte:38 m
Bebouwde opp.:147 m²
Totale woonoppervlakte:176 m²
Type constructie:Traditioneel
Bouwjaar:2012
Inhoud:820 m³
Gevelbreedte:13,92 m
Bouwlagen:3
Op verdieping:85
Overige inpandige ruimte:60 m²
Gebouwgebonden buitenruimte:56 m²
Algemene staat:Normaal

Indeling

Kamers:7
Slaapkamers:3
Badkamers:1
WC:2
Bureau:6
Woonkamer:26 m², Woonkamer
Keuken:27 m², Woonkeuken, Ingericht met inbouwapparatuur
Kelder:15 m²
Terras:27 m²
Wasplaats:8 m²
Tuin:280 m²
Tuin breedte:19 m
Tuin diepte:25 m
Tuin oriëntatie:Zuid
Tuin kwaliteit:Verzorgd
Garage:1 (2 plaatsen)
Garage Oppervlakte:34 m²
Garage Types:Carport, Inpandig
Garage uitrusting:Elektrische voorzieningen, Water voorzieningen, Verwarming
Parking:4
Parking Types:Op eigen terrein

Comfort

Raamwerk:Hardhout
Dak:Zadeldak
Beglazing:Hoogrendementsglas
Verwarming:Warmtepomp
Verwarmd water:Warmtepomp
Isolatie:Volledig geïsoleerd

Kadastrale gegevens

Kad. gemeente:Reusel
Oppervlakte:732 m²

Informatieplicht

Energielabel:A
Geldig tot:17-12-2030

Ligging

Neem vrijblijvend contact op

Wenst u meer informatie of het pand te bezoeken? Contacteer ons vrijblijvend voor meer informatie. 
Wanneer wij uw aanvraag hebben ontvangen zullen wij verder contact met u opnemen. 


U moet akkoord gaan met het privacybeleid van deze website
* Verplicht in te vullen
Voor meer informatie kunt u mailen naar Vosters Onroerend Goed BV, info@vostersonroerendgoed.nl, of bellen met Dennis van Driel, 0614207657 . Aan onvolkomenheden in tekst en inhoud kunnen geen rechten worden ontleend. Alle aanbiedingen zijn vrijblijvend.
 
Niet gevonden wat u zocht? Schrijf u dan vrijblijvend in om op de hoogte te blijven van ons recentste aanbod.
Schrijf u in
U gebruikt een verouderde browser. Upgrade nu naar een moderne browser om ten volle gebruik te kunnen maken van alle functies van onze site:
Chrome |  FireFox |  Opera |  Safari |  Microsoft Edge
Terug naar boven
Sluit menu Vosters Onroerend Goed BV
Wat is mijn huis waard?
Ontvang binnen twee werkdagen een gratis waardebepaling!